29 May
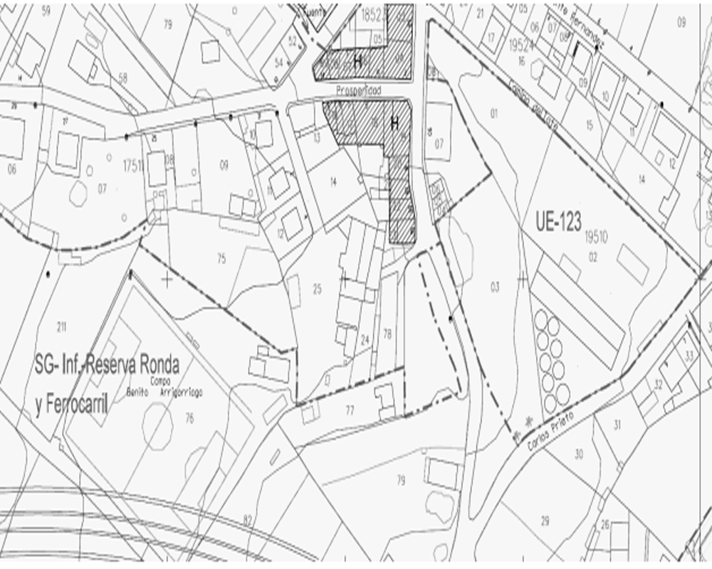
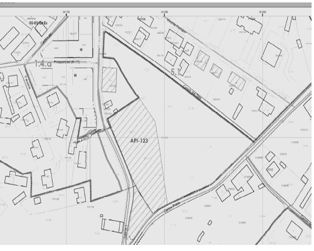
Excelente oportunidad de adquirir en propiedad este suelo ( no consolidado) ubicado en la localidad de Gijón, provincia de Asturias. Con los siguientes datos:
- Referencia catastral: 1951009TP8215S0001LU.
- Promoción inmobiliaria más probable: Se estima la construcción de 9 viviendas de 205 m2 aprox. con parcelas de 1.138 m2.
- Superficie catastral: 11.225 m2
- Superficie de suelo adoptada: 10.245 m2 resultado de descontar la zona medida sobre plano que no es edificable 990 m2 y queda una superficie de 10.245 m2.
- Edificabilidad: 2.045 m2 de residencial unifamiliar.
- Descontando Cesión del 10%: 2.045 x 0,90 = 1.840,50m2
- Se establece como hipótesis el desarrollo de un edificio en manzana cerrada de tres alturas sobre rasante, con planta baja de uso comercial y 2 plantas en altura de viviendas para 24 unidades y una planta bajo rasante para 36 plazas de aparcamiento.
Situado en la zona Oeste de la población, se trata de zona residencial totalmente consolidada con todos los servicios( instalaciones y centros deportivos, centros educativos, comercios, etc.) y a un paso de la playa del Arbeyal y del Puerto. El centro de Gijón queda a tan sólo 3,5 km, por lo tanto su ubicación es privilegiada.
Por lo tanto la promoción a desarrollar disfrutará de un entorno tranquilo, pero sin renunciar a todos los servicios, equipamientos y atractivos necesarios para una gran calidad de vida. Sus accesos, comunicaciones y transportes harán que tengas todo a tu alcance.
No lo dudes, invertir en el suelo que te ofrecemos será una apuesta segura.
CARLOS PRIETO
NO COBRAMOS COMISIÓN DE INTERMEDIACIÓN AL COMPRADORExcelente oportunidad de adquirir en propiedad este suelo ( no consolidado) ubicado en la localidad de Gijón, provincia de Asturias. Con los siguientes datos:
- Referencia catastral: 1951009TP8215S0001LU.
- Promoción inmobiliaria más probable: Se estima la construcción de 9 viviendas de 205 m2 aprox. con parcelas de 1.138 m2.
- Superficie catastral: 11.225 m2
- Superficie de suelo adoptada: 10.245 m2 resultado de descontar la zona medida sobre plano que no es edificable 990 m2 y queda una superficie de 10.245 m2.
- Edificabilidad: 2.045 m2 de residencial unifamiliar.
- Descontando Cesión del 10%: 2.045 x 0,90 = 1.840,50m2
- Se establece como hipótesis el desarrollo de un edificio en manzana cerrada de tres alturas sobre rasante, con planta baja de uso comercial y 2 plantas en altura de viviendas para 24 unidades y una planta bajo rasante para 36 plazas de aparcamiento.
Situado en la zona Oeste de la población, se trata de zona residencial totalmente consolidada con todos los servicios( instalaciones y centros deportivos, centros educativos, comercios, etc.) y a un paso de la playa del Arbeyal y del Puerto. El centro de Gijón queda a tan sólo 3,5 km, por lo tanto su ubicación es privilegiada.
Por lo tanto la promoción a desarrollar disfrutará de un entorno tranquilo, pero sin renunciar a todos los servicios, equipamientos y atractivos necesarios para una gran calidad de vida. Sus accesos, comunicaciones y transportes harán que tengas todo a tu alcance.
No lo dudes, invertir en el suelo que te ofrecemos será una apuesta segura.
Escribe tu comentario sobre el producto a través de Facebook
¿qué BANCO
tiene esta vivienda?
Rellena GRATIS el formulario para recibir información sobre el inmueble.
tiene esta vivienda?
Rellena GRATIS el formulario para recibir información sobre el inmueble.

