17 Abr
Gran oportunidad de adquirir en propiedad este suelo urbano no consolidado en venta ubicado en la localidad de Gijón.
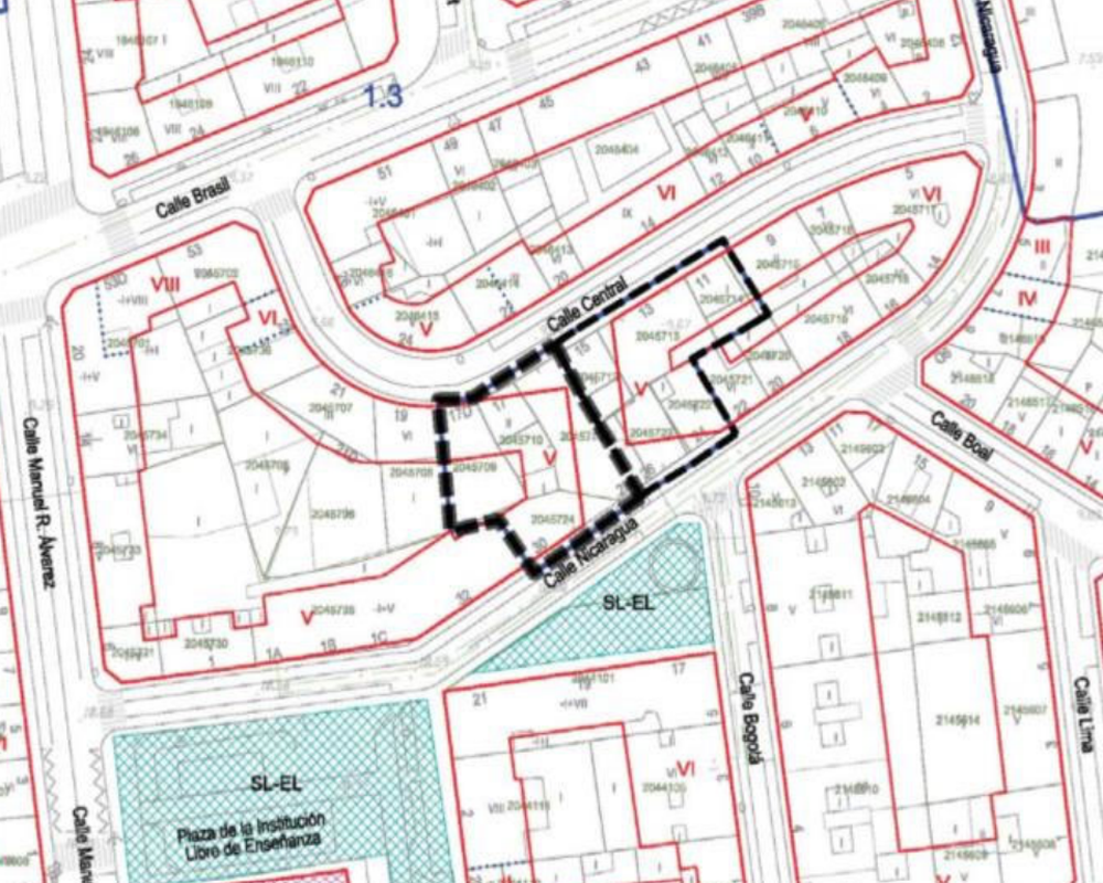
Situado en inmejorable situación a escasos metros de la zona marítima y las playas de Poniente y del Arbeyal. A tan sólo 15 minutos en coche del centro de Gijón dónde disfrutar de todas las comodidades y servicios. Formado por 4 unidades registrales, con los siguientes datos:
- Referencia catastral: 2045711TP8214N0001HT y parcelas colindantes.
- Edificabilidad: 1511 m2c.
- % Urbanizado: 100.
- % Sector: 71.69.
- % Construcción: 0.
- Infraestructuras: pendiente.
- Producto a desarrollar: Se considera como promoción más probable la unidad según los parámetros máximos permitidos por normativa, que consisten en viviendas entre medianeras, según alineaciones, de baja +4 alturas y planta bajo cubierta. El planeamiento marca así mismo la alineación interior por lo que la superficie del sector y la superficie ocupable en planta de la unidad se ha medido sobre el plano del planeamiento, al no venir especificadas en la ficha urbanística del plan vigente. 26 viviendas plurifamiliares en manzana cerrada de unos 80m² y 30 garajes bajo rasante.
El vendedor es titular, únicamente, de una cuota indivisa de la propiedad del Inmueble; no es titular del 100% del pleno dominio, el resto de los propietarios tiene derecho a la adquisición preferente sobre su participación indivisa. El inmueble se transmite “a cuerpo cierto”. El precio de venta se ha ajustado para reflejar estas condiciones.
NICARAGUA
NO COBRAMOS COMISIÓN DE INTERMEDIACIÓN AL COMPRADORGran oportunidad de adquirir en propiedad este suelo urbano no consolidado en venta ubicado en la localidad de Gijón.
Situado en inmejorable situación a escasos metros de la zona marítima y las playas de Poniente y del Arbeyal. A tan sólo 15 minutos en coche del centro de Gijón dónde disfrutar de todas las comodidades y servicios. Formado por 4 unidades registrales, con los siguientes datos:
- Referencia catastral: 2045711TP8214N0001HT y parcelas colindantes.
- Edificabilidad: 1511 m2c.
- % Urbanizado: 100.
- % Sector: 71.69.
- % Construcción: 0.
- Infraestructuras: pendiente.
- Producto a desarrollar: Se considera como promoción más probable la unidad según los parámetros máximos permitidos por normativa, que consisten en viviendas entre medianeras, según alineaciones, de baja +4 alturas y planta bajo cubierta. El planeamiento marca así mismo la alineación interior por lo que la superficie del sector y la superficie ocupable en planta de la unidad se ha medido sobre el plano del planeamiento, al no venir especificadas en la ficha urbanística del plan vigente. 26 viviendas plurifamiliares en manzana cerrada de unos 80m² y 30 garajes bajo rasante.
El vendedor es titular, únicamente, de una cuota indivisa de la propiedad del Inmueble; no es titular del 100% del pleno dominio, el resto de los propietarios tiene derecho a la adquisición preferente sobre su participación indivisa. El inmueble se transmite “a cuerpo cierto”. El precio de venta se ha ajustado para reflejar estas condiciones.
Escribe tu comentario sobre el producto a través de Facebook
¿qué BANCO
tiene esta vivienda?
Rellena GRATIS el formulario para recibir información sobre el inmueble.
tiene esta vivienda?
Rellena GRATIS el formulario para recibir información sobre el inmueble.

